Local comercial en venta en Dolores zona Dolores
Datos básicos
- C-53366
- 660.000 €
- Alicante
- Dolores
- Dolores
Distribución e instalaciones
- 0
Certificado energético
Detalles
660.000 €
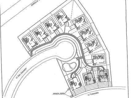
CONTENIDO Suelo urbano en Finestrat para once chalets.
- 13/10/2025
- 0
Moraga Immo
Contactar
Compartir
Tu opinión




